<%
Crisomélidos Ibéricos MENU:
Inicio
Bichos
Bichos
Claves
Imágenes
Listados
Plantas
Plantas
Familias
Fuentes
Ecología
Clasificación
Apéndices
A.1
Tóxicas
A.2
Webs
A.3
Huéspedes
Gráficos
G.1
Circulares
G.2
Columnas
Tablas
T.1
Plantas-Bichos
T.2
Bichos-Plantas
T.3
(%) Bichos
T.4
(%) Plantas
Informa
Información
Bibliografía
Buscar Bicho
Buscar Planta
Páginas Web
%>
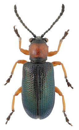
Familia:
Chrysomelidae
Subfamilia:
CRIOCERINAE
Código:
CRI.62.06.0
Género:
Oulema
Subgénero:
Oulema
Especie:
verae
Subespecie:
Oulema verae sp. nov.
Baselga, 1998
Acta Entomologica Musei Nationalis Pragae, 55(1), 2015
Copyright (c) by BEZDĚK & BASELGA
-------------------------- SINONIMOS y Cita -------------------------
Lema rufocyanea
Suffrian, 1847 Stett. Entomol. Ztg., 8(4): 100.
Oulema rufocyanea
(Suffrian): Schmitt, 1990 Deutsche Entomol. Z., N.F., 37(1-3): 31.
-------------------------- Ecología y Biología -------------------------
En gramineas cebada, avena y trigo, en prados. (Poaceae).
------------------------- Distribución General -------------------------
En la Península Ibérica. Endémica.
----------------------------------------------------- Localización en la Península Ibérica e Islas Baleares -----------------------------------------------------
PORTUGAL: Trás-os-Montes, Douro. OURENSE: Carballeda de Casaio. LEÓN: Ponferrada. ZAMORA: Fornillos, Villadepera. SALAMANCA: Bejar, Masueco. SEGOVIA: San Rafael. MADRID: El Escorial, Galapagar. TERUEL: Srra de Albarracín. CADIZ: Castellar de la Frontera. GRANADA: La Sagra, Srra. de Alfakar.
ver las Citas y los Mapas