<%
Crisomélidos Ibéricos MENU:
Inicio
Bichos
Bichos
Claves
Imágenes
Listados
Plantas
Plantas
Familias
Fuentes
Ecología
Clasificación
Apéndices
A.1
Tóxicas
A.2
Webs
A.3
Huéspedes
Gráficos
G.1
Circulares
G.2
Columnas
Tablas
T.1
Plantas-Bichos
T.2
Bichos-Plantas
T.3
(%) Bichos
T.4
(%) Plantas
Informa
Información
Bibliografía
Buscar Bicho
Buscar Planta
Páginas Web
%>
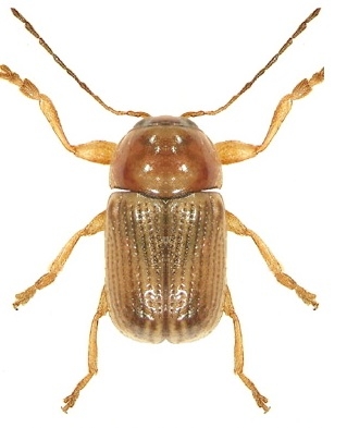
Familia:
Chrysomelidae
Subfamilia:
CRYPTOCEPHALINAE
Código:
CRY.63.12.0
Género:
Cryptocephalus
Subgénero:
Burlinius
Especie:
majoricensis
Subespecie:
Cryptocephalus (Burlinius) majoricensis
Fuente, 1918
ICONOGRAPHIA COLEOPTERORUM POLONIAE
Copyright (c) by Lech Borowiec
-------------------------- SINONIMOS y Cita -------------------------
Cryptocephalus majoricensis
de la Fuente, 1918 Bol. Soc. Entomol. España, 1: 44.
-------------------------- Ecología y Biología -------------------------
Sobre Pistacia lentiscus (Anacardiaceae).
------------------------- Distribución General -------------------------
Endemismo balear que se localiza en Mallorca y algunas islas proximas.
----------------------------------------------------- Localización en la Península Ibérica e Islas Baleares -----------------------------------------------------
BALEARES: Mallorca; Menorca; Cabrera; Dragonera; Ibiza; Formentera
ver las Citas y los Mapas