<%
Crisomélidos Ibéricos MENU:
Inicio
Bichos
Bichos
Claves
Imágenes
Listados
Plantas
Plantas
Familias
Fuentes
Ecología
Clasificación
Apéndices
A.1
Tóxicas
A.2
Webs
A.3
Huéspedes
Gráficos
G.1
Circulares
G.2
Columnas
Tablas
T.1
Plantas-Bichos
T.2
Bichos-Plantas
T.3
(%) Bichos
T.4
(%) Plantas
Informa
Información
Bibliografía
Buscar Bicho
Buscar Planta
Páginas Web
%>
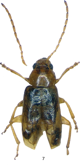
Familia:
Chrysomelidae
Subfamilia:
GALERUCINAE
Código:
GAL.76.02.0
Género:
Calomicrus
Subgénero:
Especie:
espanoli
Subespecie:
Calomicrus espanoli
Codina, 1963
Graellsia, 74(2), julio-diciembre 2018, e074
Licencia (cc by 4.0) by José Miguel Vela
-------------------------- SINONIMOS y Cita -------------------------
Calomicrus espanoli
Wilcox, 1973: 516 (catalogue)
Luperus (Calomicrus) espanoli
Codina, 1963: 368 (original description).
Euluperus espanoli
(Codina, 1963)
-------------------------- Ecología y Biología -------------------------
En Mora de Rubielos (Teruel) sobre Pinus sylvestris
------------------------- Distribución General -------------------------
Endemismo Ibérico. Con pocas citas por el este de la Península.
----------------------------------------------------- Localización en la Península Ibérica e Islas Baleares -----------------------------------------------------
TARRAGONA: Cabacés, Valls. ALBACETE: Srra. de Segura. TERUEL: Mora de Rubielos. ALICANTE.
ver las Citas y los Mapas