<%
Crisomélidos Ibéricos MENU:
Inicio
Bichos
Bichos
Claves
Imágenes
Listados
Plantas
Plantas
Familias
Fuentes
Ecología
Clasificación
Apéndices
A.1
Tóxicas
A.2
Webs
A.3
Huéspedes
Gráficos
G.1
Circulares
G.2
Columnas
Tablas
T.1
Plantas-Bichos
T.2
Bichos-Plantas
T.3
(%) Bichos
T.4
(%) Plantas
Informa
Información
Bibliografía
Buscar Bicho
Buscar Planta
Páginas Web
%>
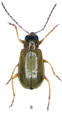
Familia:
Chrysomelidae
Subfamilia:
GALERUCINAE
Código:
GAL.76.09.0
Género:
Calomicrus
Subgénero:
Especie:
sordidus
Subespecie:
Calomicrus sordidus
(Kiesenwetter, 1873)
Graellsia, 74(2), julio-diciembre 2018, e074
Licencia (cc by 4.0) by José Miguel Vela
-------------------------- SINONIMOS y Cita -------------------------
Luperus sordidus
Kiesenwetter, 1873: 24.
-------------------------- Ecología y Biología -------------------------
Planta hospedadora: Quercus suber y Q. rotundifolia (Fagaceae).
------------------------- Distribución General -------------------------
Endemismo ibérico que se encuentra en el sur de España.
----------------------------------------------------- Localización en la Península Ibérica e Islas Baleares -----------------------------------------------------
JAÉN. MALAGA: Srras. Tejeda-Almijara. CADIZ: Tarifa.
ver las Citas y los Mapas