<%
Crisomélidos Ibéricos MENU:
Inicio
Bichos
Bichos
Claves
Imágenes
Listados
Plantas
Plantas
Familias
Fuentes
Ecología
Clasificación
Apéndices
A.1
Tóxicas
A.2
Webs
A.3
Huéspedes
Gráficos
G.1
Circulares
G.2
Columnas
Tablas
T.1
Plantas-Bichos
T.2
Bichos-Plantas
T.3
(%) Bichos
T.4
(%) Plantas
Informa
Información
Bibliografía
Buscar Bicho
Buscar Planta
Páginas Web
%>
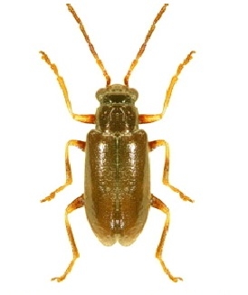
Familia:
Chrysomelidae
Subfamilia:
GALERUCINAE
Código:
GAL.83.02.0
Género:
Luperus
Subgénero:
Especie:
alpinus
Subespecie:
Luperus alpinus
Desbrocher, 1898
ICONOGRAPHIA COLEOPTERORUM POLONIAE
Copyright (c) by Lech Borowiec
-------------------------- SINONIMOS y Cita -------------------------
Luperus alpicus [sic!]
Desbrochers, 1898: 46.
-------------------------- Ecología y Biología -------------------------
Desconocida para el Valle de Arán.
------------------------- Distribución General -------------------------
Región Europea que se extiende por el sur de Francia, norte de Italia y norte de Yugoeslavia. En la Península solo en el Valle de Arán.
----------------------------------------------------- Localización en la Península Ibérica e Islas Baleares -----------------------------------------------------
LLEIDA: Valle de Arán, Pla de Cubeishic.
ver las Citas y los Mapas