<%
Crisomélidos Ibéricos MENU:
Inicio
Bichos
Bichos
Claves
Imágenes
Listados
Plantas
Plantas
Familias
Fuentes
Ecología
Clasificación
Apéndices
A.1
Tóxicas
A.2
Webs
A.3
Huéspedes
Gráficos
G.1
Circulares
G.2
Columnas
Tablas
T.1
Plantas-Bichos
T.2
Bichos-Plantas
T.3
(%) Bichos
T.4
(%) Plantas
Informa
Información
Bibliografía
Buscar Bicho
Buscar Planta
Páginas Web
%>
GÉNEROS de la Subfamilia GALERUCINAE
Latreille, 1802
74.
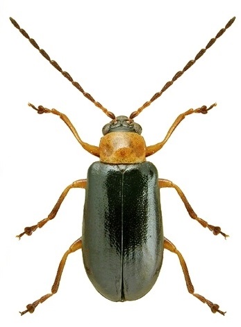
Agelastica
Chevrolat, 1837
75.
Aulacophora
Chevrolat, 1837
76.
Calomicrus
Stephens, 1831
77.
Diorhabda
Weise, 1893
78.
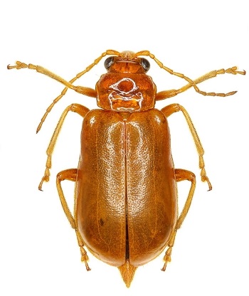
Exosoma
Jacoby, 1903
79.
Galeruca
Müller, 1764
80.
Galerucella
Crotch, 1873
81.
Leptomona
Bechyne, 1958
82.
Lochmaea
Weise, 1883
83.
Luperus
Geoffroy, 1762
84.
Pyrrhalta
Joannis, 1866
85.
Sermylassa
Reitter, 1912
86.
Xanthogaleruca
Laboissiere, 1934
87.
Monoxia
Blake, 1939